В Антарактиде ученые случайно обнаружили популяцию пингвинов Адели численностью полтора миллиона особей. Об этом сообщает журнал Scientific Reports. 

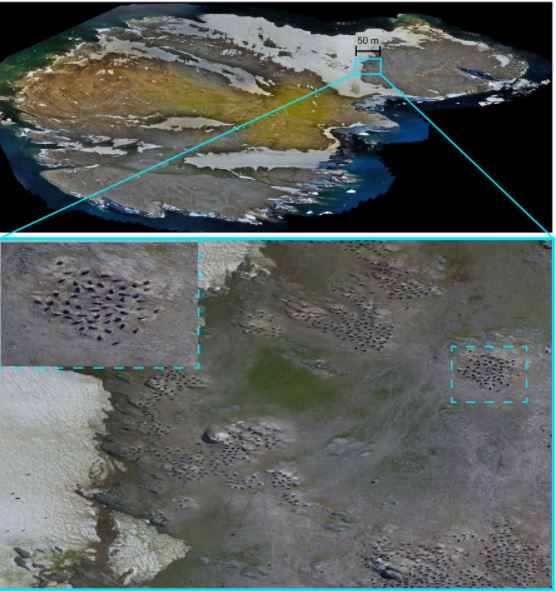
Открытие совершенно случайно сделала группа орнитологов из США, Великобритании и Франции. Исследователи заметили на снимках из космоса большие пятна гуано в районе острова Дейнджэр и сделали вывод, что там живет большая колония птиц.

 

Фото: nature.com

 

Позже на остров организовали экспедицию, в результате которой выяснилось, что там обитает 751 527 гнездящихся пар пингвинов.

Известно, что пингвины Адели – нелетающие птицы среднего размера из отряда пингвинообразных и относятся к одному из самых распространенных видов пингвинов.

Пингвины Адели гнездятся на побережье Антарктиды, а также на Южных Шетландских и Оркнейских островах. На островах Дейнджер до сегодняшнего дня было известно о 200-300 тысячах пингвинов Адели.

Ранее "Страна" писала о том, что в гости к украинским полярникам в Антарктиде приплыл морской слон и уснул в лодке.

А в Новой Зеландии ученые обнаружили останки гигантского доисторического пингвина.

Подпишитесь на телеграм-канал Политика Страны, чтобы получать ясную, понятную и быструю аналитику по политическим событиям в Украине.